This section is from the book "Building Construction And Superintendence", by F. E. Kidder. Also available from Amazon: Building Construction And Superintendence.
Several steel roofs have recently been constructed after the manner shown by Fig. 196. As will be seen from the description following,* this method of construction was used largely on account of the shape of the ceiling, which approaches so close to the roof surface that any other method of bracing was not permissible.
This roof covers a square audience room 78 feet across, inside of the walls. The square is changed to an octagonal form by arches sprung across the four corners at a height of abort 26 feet above the floor line. The general outline of the roof is that of an octagonal pyramid supporting a central lantern 33 feet in diameter, each side of the main roof being intersected by a gable rising as high as the base of the lantern. The interior is finished with an ornamental plastered ceiling formed by eight vaulted surfaces which spring from intersections on the lines of the main ribs supporting the lantern, and project up into the gable.
The necessity of providing a strong and stiff support for the roof and plastered ceiling within the limited available space between the roof line and the interior finish, led to the adoption of the steel framework shown. This framework consists of eight main ribs, or built beams abutting against and supporting an octagonal ring of 15-inch I's which forms the base of the lantern at the centre. The frame of the lantern is formed by eight ribs built of 12-inch and 10-inch I's connected at the hips by gusset plates and angles, and tied together by portal bracing of angles, all of such dimensions and outlines as not to interfere with the ornamental interior finish and window openings.

Fig. 197. - Plan, Iron Synagogue Roof, St Louis, Mo.
*Taken from the "Engineering Record" of June 20, 1896.

Fig. 198. - M. E. Church, Troy, Ohio.
S. R. Badgley, Architect.
At the four corners special-shaped box girders are attached to the main ribs to carry the arches and gable walls over the corners of the hall. The cross-beams B support the timber valley rafters, which in turn hold the rafters and roof covering. They are built of 18-inch channels of such outlines as to clear the ceiling line.
Any sway bracing between the main ribs would have been exposed in the interior and was not permissible. To give the necessary stability against the wind, the main ribs are therefore anchored at the base to concrete foundations. The anchorage and foundations are of such strength and weight as was necessary in addition to the weight of the wall and roof to resist the overturning action of the wind force against the roof.
A plan of the walls and steel framing is shown in Fig. 197.

Fig. 199. - Detail of Steel Frame, Church at Troy, Ohio.
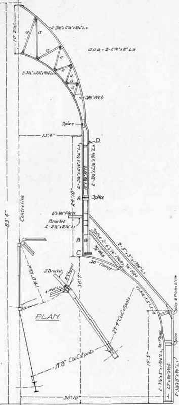
85. Figs. 198 and 201 show the steel frame of two other octagonal roofs constructed in the same manner. Both of these buildings were designed by Mr. S. R. Badgley, architect, of Cleveland, O., and the steel framework was manufactured and erected by the Rogers Iron Co., of Springfield, O., from whom the photographs and working drawings were obtained. Fig 199 shows one of the eight arched ribs of the church at Troy, with the principal dimen-sions, and also a partial plan of the steel frame. The relation of the sustaining posts to the outside walls is shown by the partial floor plan of the building, Fig. 200. As may be seen from the illustrations, the sustaining postsare not located at the corners of a true octagon, but in the sides of a square having its corners cut off. The inner ends of these posts, however, are spaced so that the upper posts form a true octagon, as shown by the. partial plan in Fig. 199, while the trussed ribs, at the top, form the angles of an octagonal dome. Fig. 201 shows the steel frame of the lantern and dome of the Washington church, as it appeared when completed ready to receive the wood furring, and Fig. 202 shows the finished exterior of the dome and lantern, and the general shape of the main roof. Fig. 203 shows the ceiling and base of the lantern of the church at Washington, the interior of the church at Troy being finished in the same way, except for the ornamentation. The object of the steel frame, in both of these churches, is to form a support for the lantern and dome, and also for the centre of the main roof and ceiling, without obstructing the interior view. The frame is entirely selfsustaining from the foundation, and imposes no strain whatever upon the outside walls.

Fig. 260. - Partial Floor Plan of Church at Troy, Ohio.
In the Troy church, the foundations for the main columns were very near the main floor level. In the Washington church, the columns extended four or five feet below the floor. In both cases, the column foot plates were large and very substantial, and were well anchored by heavy bolts built into the masonry.

Fig. 201. - M. E. Church, Washington Court House, Ohio.
S. R. Badgley, Architect.
The top of the main posts are held in place by horizontal struts, at the levels A, B and C, Fig. 199, which form an octagonal ring, the connections at the posts being made very stiff. The base of the lantern, between the points A and B is also stiffened by diagonal bracing as shown in the view, Fig. 201. The projecting brackets on the inside of the lantern posts, support a gallery, a portion of which is shown in Fig. 203.

Fig. 202. Same Church, Completed.
In both of these churches the framework of the main roof was of wood, the purlins being supported by the eight steel posts. The dome roof is also formed of wood, attached to the steel ribs, and both the dome and main roof are covered with slate.
The walls of the lantern, where not filled with glass, are formed of wood framing, attached to the steel, sheathed with matched boards, and covered with galvanized iron. The ceiling of the lantern finishes on the line of the bottom of the steel ribs and is formed of lath and plaster, the whole interior of the lantern being plainly-visible from the pews.
The external and internal effect of these buildings could not be obtained by any other method of construction, known to the author, as with any method of trussing, it would be necessary either to provide a greater space between the ceiling and roof, or else to expose the truss members.

Fig. 203. - Interior of Church at Washington Court House, Showing Base of Dome.
The weight of the structural steel and iron in the Washington church was about 43 tons and in the Troy church about 75 tons, but these figures include the entire steel used in the building, some in excess of that in the roof construction and columns.

Fig. 204.
The diameter of the dome of the Washington church, to outside of columns, is 32' 6" and the height above the top of upper columns, 29' 11". The height of the lantern above main roof is 19' 5".
The general plan of the Washington church is very similar to that of the Troy church, Fig. 200, the width of the square, figured from centres of the posts being 59/6". The main posts are built with a 24"x1/4" web, and 3 1/2"x2 1/2"x5/16" flange angles. The dome ribs are built of two 3"x2 1/2"x1/4" angles for the outer and inner chords, with single 3"x2 1/2"x1/4" angles for the bracing.
The engineers for the steel frame were The Osborn Co., of Cleveland.
 
Continue to: